Um Ihnen einen optimalen Service auf unserer Webseite zu bieten, verwenden wir Cookies zur Verbesserung der Funktionalität.
Durch die weitere Nutzung dieser Webseite erklären Sie sich damit einverstanden. Weitere Details zu den eingesetzten Cookies und ihrer Verwendung finden Sie in unseren Datenschutzhinweisen.
Hinweise zum Datenschutz
Gemeinde Aichstetten Logo Gemeinde Aichstetten
Navigation überspringen
  • Startseite
  • Kontakt
  • Impressum
  • Datenschutz
  • Barrierefreiheit
  • Login
Navigation überspringen
  • Gemeinde
    • Basisdaten
    • Geschäftswelt
    • Bodenrichtwerte
    • Mietspiegel
    • Ortsplan
    • Öffentliche Einrichtungen
    • Partnerschaftsgemeinde
    • wichtige Adressen
    • Bauleitpläne
    • Pflegestützpunkt Leutkirch
    • Hochwasser
    • Starkregenrisikomanagement (SRRM)
  • Aktuelles
    • Amtsblatt
    • Veranstaltungskalender
    • Ausschreibungen
    • Jahresrückblick
    • Neubürgerinfo
    • Wasserstandsmeldung
    • Stellenangebote
    • Datenschutz
    • Demokratie leben
    • Info ukrainische Flüchtlinge
    • Schwarzes Brett
  • Rathaus
    • Formulare
    • Öffnungszeiten
    • Ortsrecht
    • Ansprechpartner
    • Bauhof
    • Haushaltsplan
    • Steuern und Gebühren
    • Wasserversorgung
    • Abfallwirtschaft
    • Fundbüro
    • Online-Bürgerservice
  • Politik
    • Gemeinderat
    • Wahlen
  • Freizeit
    • Vereine
    • Volkshochschule
  • Kinder und Jugend
    • Kindertagespflege
    • Kinder- und Jugendbeauftragte
    • MitAinander / Angebote für Kinder und Jugendliche
    • Kindertreff
    • Jugendarbeit
    • Sommerferienprogramm
    • Schulkindbetreuung
    • Jugendtreff / Jugendhearing
  • Senioren + Soziales
    • Seniorenbeauftragte
    • Angebote
    • Altersgerechtes Wohnen
    • Veranstaltungen - Senioren
  • Archiv
    • Gemeindearchiv

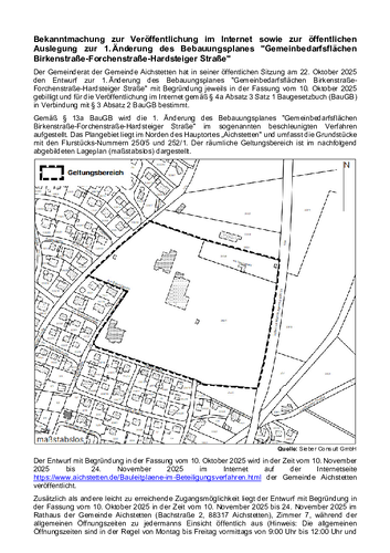
Bauleitpläne im Beteiligungsverfahren

Seitennavigation:

Navigation überspringen
  • Bauleitpläne im Beteiligungsverfahren

  • Wirksame Bauleitpläne

    Wirksame / rechtskräftige Bauleitpläne
  • Gemeinde Aichstetten
  • Gemeinde
  • Bauleitpläne
  • Bauleitpläne im Beteiligungsverfahren
Gemeinde Aichstetten Logo Gemeinde
Aichstetten
Gemeinde Aichstetten
Bachstraße 2 88317Aichstetten
rathaus@aichstetten.de
www.aichstetten.de
+49 (7565) 9418 0
+49 (7565) 9418 25
Navigation überspringen
  • Gemeinde
    • Basisdaten
    • Geschäftswelt
    • Bodenrichtwerte
    • Mietspiegel
    • Ortsplan
    • Öffentliche Einrichtungen
    • Partnerschaftsgemeinde
    • wichtige Adressen
    • Bauleitpläne
    • Pflegestützpunkt Leutkirch
    • Hochwasser
    • Starkregenrisikomanagement (SRRM)
  • Aktuelles
    • Amtsblatt
    • Veranstaltungskalender
    • Ausschreibungen
    • Jahresrückblick
    • Neubürgerinfo
    • Wasserstandsmeldung
    • Stellenangebote
    • Datenschutz
    • Demokratie leben
    • Info ukrainische Flüchtlinge
    • Schwarzes Brett
  • Rathaus
    • Formulare
    • Öffnungszeiten
    • Ortsrecht
    • Ansprechpartner
    • Bauhof
    • Haushaltsplan
    • Steuern und Gebühren
    • Wasserversorgung
    • Abfallwirtschaft
    • Fundbüro
    • Online-Bürgerservice
  • Politik
    • Gemeinderat
    • Wahlen
  • Freizeit
    • Vereine
    • Volkshochschule
  • Kinder und Jugend
    • Kindertagespflege
    • Kinder- und Jugendbeauftragte
    • MitAinander / Angebote für Kinder und Jugendliche
    • Kindertreff
    • Jugendarbeit
    • Sommerferienprogramm
    • Schulkindbetreuung
    • Jugendtreff / Jugendhearing
  • Senioren + Soziales
    • Seniorenbeauftragte
    • Angebote
    • Altersgerechtes Wohnen
    • Veranstaltungen - Senioren
  • Archiv
    • Gemeindearchiv
Mobile Version